Mergi la conţinutul principal

Circulație deviată la intersecția străzii Grigore Alexandrescu cu Șoseaua Buzăului

• măsura intră în vigoare din data de 8 noiembrie, începând cu ora 9.00, pe fondul lucrărilor derulate în zonă, în cadrul proiectului “Modernizare transport electric Parc Monument – Radu Negru”

 

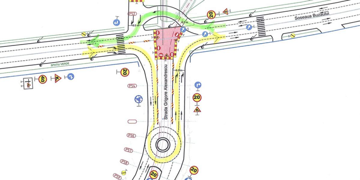
Începând de mâine, miercuri, 8 noiembrie, traficul auto va fi deviat în zona intersecției străzii Grigore Alexandrescu cu Șoseaua Buzăului, din cauza lucrărilor aflate în derulare. Astfel, Primăria Brăila informează că, începând cu ora 9.00 a zilei de 8 noiembrie, accesul autovehiculelor în intersecția Șoseaua Buzăului cu Strada Grigore Alexandrescu va fi permis conform Managementului de trafic atașat si Avizului  nr. 1093121 din 02.11.2023 emis de Inspectoratul de Poliție Județean Brăila, Poliția Municipiului Brăila, Biroul Rutier, după cum urmează: pe Șoseaua Buzăului, pe sensul de circulație dinspre Bariera Călărașilor spre Spitalul Județean Brăila, circulația va fi deviată în dreptul intersecției cu Str. Grigore Alexandrescu pe un drum provizoriu; pe Șoseaua Buzăului, pe sensul de circulație dinspre Spitalul Județean Brăila spre Bariera Călărașilor, circulația se va face în dreptul intersecției cu Str. Grigore Alexandrescu printr-un sens giratoriu provizoriu.

Măsura se aplică pe fondul implementării proiectului “Modernizare transport electric Parc Monument – Radu Negru”, care este finanțat din fonduri europene prin Programul Operational Regional 2014 – 2020 și include pe sectorul dintre Str. Pietății și Șos. Buzăului (Lotul 1), în principal, următoarele lucrări:

- Lucrări de modernizare cale de rulare tramvai, înlocuire stâlpi și fir de contact;

- Lucrări de amenajare a 3 stații de călători: intrare în Careul Parc Monument (pe ambele sensuri) și la intersecția cu Șoseaua Buzăului;

- Lucrări de modernizare a iluminatului public;

- Lucrări de modernizare carosabil adiacent liniei de tramvai între Strada Pietății și intrarea în Careul Parcul Monument.

 


Invităm cititorii la dialog civilizat şi constructiv, bazat pe respect faţă de autori sau alţi cititori. Mesajele care conţin cuvinte obscene, anunţuri publicitare, atacuri la persoană, trivialităţi, jigniri, ameninţări şi cele vulgare, xenofobe sau rasiste sunt interzise de legislaţia în vigoare. Aceste tipuri de comentarii vor fi şterse de către moderatori şi pot duce până la blocarea accesului la a mai posta comentarii pe obiectivbr.ro. Totodată, autorul comentariului îsi asuma eventualele daune, în cazul unor actiuni legale împotriva celor publicate. Pentru a avea acces la comentarii si a putea comenta trebuie sa fiti logati in disqus.com / facebook.com / google.com / twitter.com in browserul in care accesati site-ul nostru.


 

• Director general: Monica Paraschiv

• Director: Silvia Preda

• Şef departament publicitate: Sorin Preda

• Redactor Şef: Florentin Coman

• Redactor Şef Adjunct: Ionuţ Condoliu

  • Adresa: Brăila, Str. Mihai Eminescu, nr. 56, etaj 2
  • Telefon: 0740-080289
  • E-mail: redactie@obiectivbr.ro